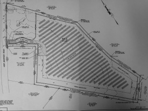
The historic center of Rochester may soon be home to a large-scale solar energy facility. The 10-acre commercial solar farm would be built upon the old Gibbs dairy farm site, between New Bedford Road and Dexter Lane, right in the center of town. The solar facility would abut several residential properties as well as the historic cemetery, as Robert Rogers of G.A.F. Engineering and Amelia Tracy, project development manager of NextSun Energy, explained on June 23 during a pre-submission conference with the Rochester Planning Board.
Among the main concerns was the proposed selective cutting of trees taller than 20 feet within the 20-foot vegetative buffer around the perimeter of the property in order to avoid shadows being cast upon the solar arrays.
Another concern was screening so that abutters and passersby could be shielded from the solar arrays. Both Rogers and Tracy assured the board and abutters that the project would abide by most of the Town’s solar bylaw, and screening to the board’s satisfaction would be a top priority.
Gary Florindo was the first board member to speak out against the selective cutting, adamantly opposing the chopping of any of the old trees in the 20-foot buffer surrounding the area slated for clear-cutting.
Florindo said he wasn’t buying the shading issue as a legitimate need to cut taller trees down. “Because the major trees that are in the buffer zone … are going to be a green buffer. I don’t see why they have to be cut down,” said Florindo. “I don’t think it’s necessary to take those big ones out. I think you can make them work right there.”
Rogers was seeking a number of waivers from the board relative to the Town’s recently adopted Limited Commercial Zoning Bylaw which entails, among other things, certain requirements pertaining to open space maintenance, the subdivision of land, and stormwater requirements – things Roger said do not apply to a solar energy facility. And although the board was willing to grant several of the waivers, it was reluctant to waive certain things like stormwater management and selective tree cutting within the buffer.
Abutter Mary Barr, who said her property would be situated “next to that lovely gravel drive,” the proposed entrance to the site, spoke on behalf of the wildlife that would be dislocated as a result of the clear-cutting and opposed the selective tree cutting.
“And how disrespectful is it to put this right next to a cemetery in the middle of this lovely town?” she asked.
Florindo said the project would change the character of the cemetery and he did not welcome the change to the neighborhood the solar farm would bring.
“You want to fit your project it, fit it in,” said Florindo. “But you’re not going to cut down all those trees in the buffer.”
Planning Board member John DeMaggio suggested the project planners submit calculations on how the 20-foot tall trees would affect the solar energy output. As a rule of thumb, said Tracy, it is a two-to-one ratio.
“But we could definitely produce those calculations,” said Tracy.
Planning Board Chairman Arnold Johnson said he spoke with the Rochester Cemetery Commission, “And they’re not as concerned with the screening as we are at this point,” said Johnson. He added, though, that Rochester was “not too big on chain-link fence,” so that detail regarding screening would need adjusting.
Abutter and Historical District Commission member Susan Fleming said she was completely against the project.
“I can’t think of a worse place to put this,” said Fleming. “And the picture of a solar farm, it’s going to ruin the center of town.” She continued, “It’s going to ruin the property value…. No one’s going to want to live here; it’s gonna ruin the town.”
Abutter Matthew Monteiro agreed, saying the solar farm would lessen his property value that is currently surrounded by woods “by huge numbers.”
Johnson said Rochester has one of the most comprehensive solar bylaws in the state, especially when it comes to screening, although several people questioned the selection of vegetation for screening, especially plants Tracy said would grow into “robust vines” within five years – too long for some present that night.
“I don’t want to see the skyline change,” said Florindo. “Once you take the trees down, the skyline is changed. We’ve done a lot of work to try to work with everybody and I’m not going to go along with taking out those big trees.”
A solar farm, said Johnson after the meeting, was not what the board had in mind when it proposed and passed its new Limited Commercial Zoning Bylaw at Town Meeting on June 8, with its intent of keeping further development in the historical center in character with the current surroundings. The solar bylaw, however, supersedes the zoning bylaw, and solar facilities enjoy further protected status by state legislation, according to Johnson.
The NextSun Energy solar project was not the only solar farm pre-submission conference that night. The board was also introduced to a plan to construct a solar farm at 99 Perry’s Lane. Rogers, who also represented Dennis Clemishaw, said the project would lie completely within the town of Marion, except for the access to the site. The board agreed that Rogers would submit the same materials to Rochester as it will Marion in order to assure that concerns of the Town of Rochester were as equally addressed as those in Marion.
The next meeting of the Rochester Planning Board is scheduled for July 14 at 7:00 pm at the Rochester Town Hall.
By Jean Perry
